Beschreibung
Ausstattung
Lage
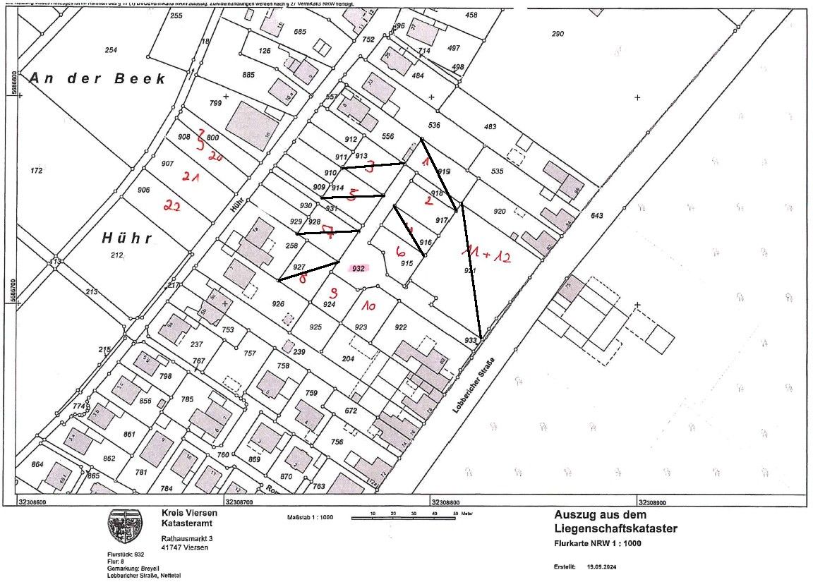
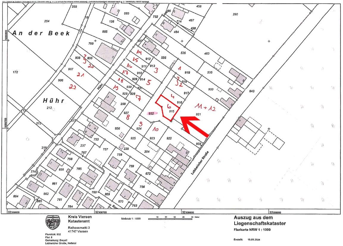
Bei dem hier vorgestellten Grundstück handelt es sich um Grundstück Nr. 6 = Flurstück mit ca. 380 m²
Kaufpreis: 285,00 EUR/m²
Die Entwicklungsgesellschaft GEG (Verkäufer) hat mit der Stadt Nettetal einen städtebaulichen Vertrag, einschließlich Erschließungsvertrag geschlossen. Hiernach wird sich die Entwicklungsgesellschaft verbindlich zur vollständigen Erst-Erschließung des hier in Rede stehenden Baugebietes verpflichten. Der Entwicklungsvertrag liegt uns vor. Dem Käufer wird der gefertigte Erschließungsvertrag ausgehändigt, welcher auch Bestandteil eines Kaufvertrages ist.
Ihr Bauantrag kann dann bei Abnahme der Baustraße (Stand = gesicherte Erschließung) bei der Stadt Nettetal gestellt werden und Ihr Hausbau anschließend beginnen.
Bebauungsplan:
Das Gebiet liegt im seit dem 05.01.2024 rechtskräftigen Bebauungsplan Br-292 Lobbericher Straße/Hühr. Dieser kann im Rathaus und online eingesehen werden bzw. liegt Ihnen bei uns zur Einsicht offen.
Der Bebauungsplan sagt als wesentliche Information für die zum Verkauf stehenden Grundstücke aus:
WA 1: allgemeines Wohngebiet, bis zu 2 Vollgeschosse, bis zu 2 Wohneinheiten je Gebäude, GRZ 0,4, Einzel- oder Doppelhaus, Sattel-, Flach-, Pult-, oder Zeltdach möglich. Wand- und Gebäudehöhe sind je nach Dachform festgelegt (z.B. maximale WH bei SD 4,50m über NHN).
Doppelhäuser sind mit einheitlicher Hauptfirstrichtung, Dachform, Sockelhöhe, Dachneigung des Hauptbaukörpers sowie Material- und Farbgebung auszuführen.
Während die Städte immer voller werden und die Grundstückspreise explodieren, gibt es hier im Baugebiet Lobbericher Straße ausreichend Möglichkeiten sich den Freiraum zu schaffen, den man für sich und sein neues Lebensgefühl benötigt. - Das Budget ist hier mehr wert! - Ob Platz für den begehbaren Kleiderschrank, für den Pool im Garten, für das Spielzimmer der Kinder oder endlich Platz für das Klavier; hier können Sie nach Ihren Möglichkeiten kreativ werden!
Die Lage des aufstrebenden Baugebiets in Nettetal-Breyell zeichnet sich durch eine harmonische Verbindung von Natur und urbanem Leben aus. Die Umgebung ist geprägt von einer ruhigen Wohnatmosphäre, die ideal für Familien ist. Die Einwohnerstruktur ist vielfältig und umfasst sowohl junge Familien als auch ältere Bewohner, die die ruhige und naturnahe Umgebung schätzen.
Die Infrastruktur in diesem Bereich ist gut ausgebaut. In der Nähe befinden sich zahlreiche Einkaufsmöglichkeiten, Schulen und Kindergärten, die eine optimale Versorgung für Familien gewährleisten. Auch Freizeitmöglichkeiten sind reichlich vorhanden, mit Parks, Spielplätzen und Sporteinrichtungen, die zu einem aktiven Lebensstil einladen.
Die Verkehrsanbindung ist ebenfalls vorteilhaft. Die Anbindung an das öffentliche Verkehrsnetz ermöglicht eine einfache Erreichbarkeit der umliegenden Städte und Gemeinden. Zudem sind wichtige Verkehrsachsen schnell zu erreichen, was Pendlern zugutekommt.
Die Vorteile dieser Lage liegen in der ruhigen, familienfreundlichen Umgebung, der guten Infrastruktur sowie der Nähe zur Natur. Die Möglichkeit, individuelle Wohnträume zu verwirklichen, ist ein weiterer Pluspunkt, der potenzielle Bauherren anspricht.
Insgesamt bietet dieses Baugebiet eine attraktive Option für Familien und Menschen, die Wert auf eine naturnahe und dennoch gut angebundene Wohnlage legen.
Alle hier im Angebot genannten Angaben, Daten und Informationen beruhen auf Angaben des Entwicklers bzw. sind aus Objektinformationen entnommen. Für die Richtigkeit dieser Aussagen übernehmen wir keine Haftung. Irrtum, Auslassung sowie Zwischenverkauf bleiben vorbehalten. Wir weisen ausdrücklich darauf hin, dass wir keine Rechts- und Steuerberatung vornehmen dürfen und verweisen auf entsprechendes Fachpersonal der rechts- und steuerberatenden Berufe.
Preise
-
Kaufpreis
108.300 €
-
Käuferprovision inkl. USt.
3.57 %
Die Immobilie
Grundstück zum Kauf
-
Objekt-Nr
2880a
-
Provisionspflichtig
Weitere Flächen
-
Grundflächenzahl (GRZ)
0,40
Allgemeiner Hinweis
Alle hier im Angebot genannten Angaben, Daten und Informationen beruhen auf Angaben des Entwicklers bzw. sind aus Objektinformationen entnommen. Für die Richtigkeit dieser Aussagen übernehmen wir keine Haftung. Irrtum, Auslassung sowie Zwischenverkauf bleiben vorbehalten. Wir weisen ausdrücklich darauf hin, dass wir keine Rechts- und Steuerberatung vornehmen dürfen und verweisen auf entsprechendes Fachpersonal der rechts- und steuerberatenden Berufe.